
Hip Pain
Arthritis
Arthritis means inflammation of a joint, and has many causes. The structures that make up the joint eventually become damaged, such that regardless of the cause patients can be severely disabled.
Patients usually have pain and stiffness in the affected joints, often associated with deformity and instability. Many joints can be affected with the hip and knee being the most common.
Treatment is firstly focused on non-operative treatment such as weight loss if necessary, activity modification, patient education, and treatment with anti-inflammatory medication.
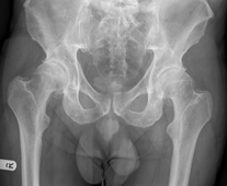
X-ray showing severe bilateral hip osteoarthritis. Enlarge
Patients in severe pain and those who fail to respond to non-operative treatment may benefit from joint replacement surgery.
There are many types of arthritis:
OsteoarthritisRheumatoid Arthritis
Neuropathic Arthritis
Juvenile Idiopathic Arthritis
Seronegative Arthritis
Trochanteric Bursitis
Describes pain due to inflammation of the bursa lying over the side of the hip joint. A bursa is a fluid filled sac that lies just beneath the skin and reduces friction when skin or other structures pass over bones. There are many around the knee, the hip, elbow and other joints. It is very similar to 'housemaids knee' and can be confused with arthritis of the hip joint. The pain that arises from trochanteric bursitis is usually felt over the side of the hip joint and differs from the deep-seated groin pain that patients with hip joint arthritis complain of. Treatment usually involves an injection of local anaesthetic and anti-inflammatory steroid into the affected area.
Sciatica
Sciatica can be confused with hip pain. Patients often complain of low back pain, which can then radiate to the buttock, with classically leg pain, that can extend as far as the foot. Patients describe symptoms such as pins and needles, electric shock type sensations, or even a feeling of water being poured down their leg.
The cause is pressure or inflammation around the nerves in the low back, in younger patients it is due to a prolapsed inter-vertebral disc (slipped disc), in older patients it is usually due arthritis of the small joints of the vertebrae, or an increase in some of the soft tissues around the spinal cord and nerve roots.
Most patients improve with time and simple interventions such as physiotherapy. In some surgery can be required.
Impingement Of The Hip Joint
Femoro-acetabular impingement, describes a condition of the hip joint where movement of an abnormally shaped hip can lead to damage of the joint and surrounding structures which may go on to cause secondary arthritis.
Patients are usually young and complain of groin pain, which may be associated with a reduced range of movement.
In the very early stages it may be possible to treat this condition with arthroscopic (keyhole) surgery to remove bony lumps and damaged soft tissue, to relieve pain and improve range of movement. As yet this is still an unproven treatment.
Osteonecrosis Of The Hip
In Osteonecrosis of the hip joint, the normal blood supply of the bone of the hip is lost and as such the bone 'dies' and this leads to softening of the bone, which collapses causing arthritis. Diagnosed early it may be possible to halt the loss of bone and hopefully prevent the development of secondary arthritis.